02-168-3232
097-918-4244
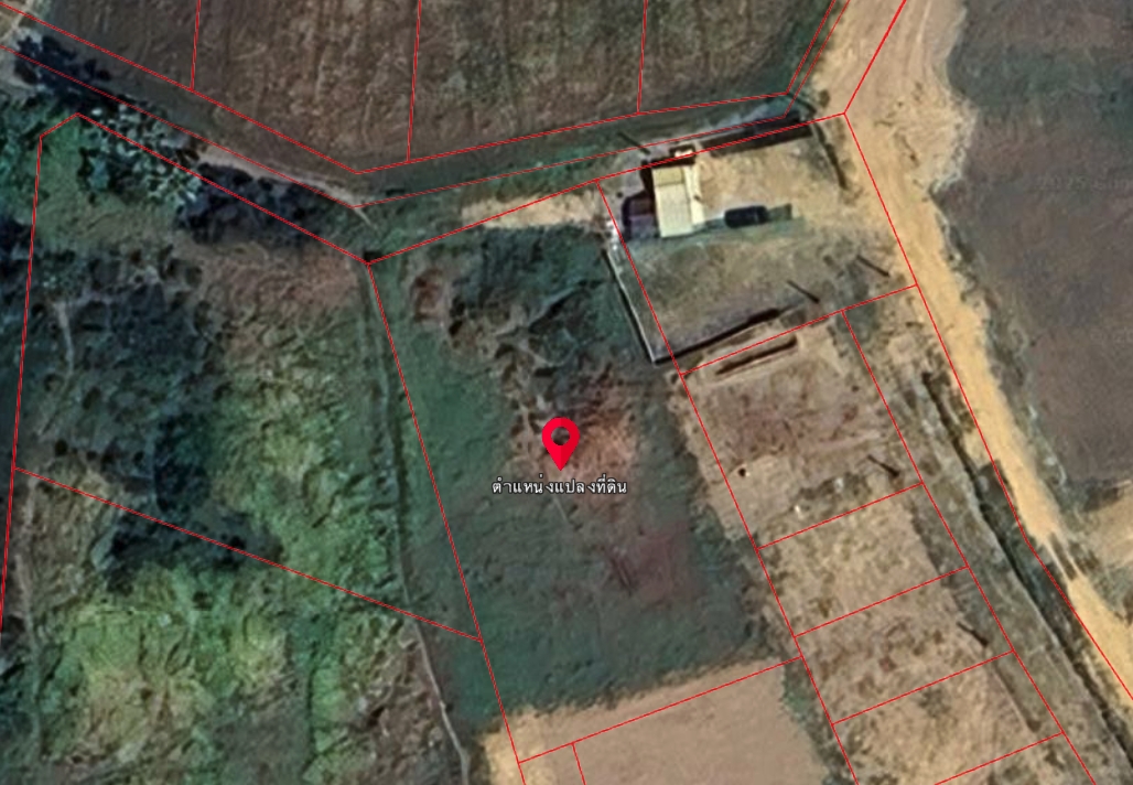
92436 - ขายที่ดินเปล่า 385.2 ตารางวา ต.สระกะเทียม นครปฐม ที่ดินไม่ถึงล้าน คุ้มค่า เก็บทำกำไรได้ !
Location
Project :
Soi :
Road :
District : Sa Kathiam
Amphur : Mueang Nakhon Pathom
Province : Nakhon Pathom
Postcode : 73000
Description

Property Type

Vacant land

Code

92436

Sale

890,000 Bath

Land Size

3 งาน, 85.2 ตร.ว.

ที่ดินไม่ถึงล้าน คุ้มค่า เก็บทำกำไรได้ !
นครปฐม ต.สระกะเทียม 385.2 ตรว หันหน้าทางทิศใต้ ที่ดินพื้นที่สีชมพู
เหมาะสำหรับปลูกบ้านทำโกดังเก็บของ หรือเก็งกำไรระยะยาว

Listing no. 92436
รายละเอียดทรัพย์ Property Detail:
รายละเอียดที่ดิน
* ขนาด: 385.2 ตรว.วิวนา
* น้ำ- ไฟ เข้าถึงหน้าแปลง
* แหล่งชุมชน
* ทางเข้าไม่ใช่ที่ตาบอด รถเข้าได้
* โฉนดพร้อมโอน ปลอดภาระ
* ค่าโอนคนละครึ่ง
เหมาะสำหรับ:
สร้างบ้านสวน/โฮมสเตย์
ซื้อไว้ลงทุน/เก็งกำไรอนาคต
ทำโกดังหรือธุรกิจเชิงพาณิชย์
โลเคชั่นเด็ด ใกล้ชุมชน – แหล่งการศึกษา – สิ่งอำนวยความสะดวกครบ!
* ห่างเซ่นเว่น DIY โลตัส 1 กิโล
* ห่างถนน เพชรเกษม 2.5 กิโล
* ใกล้เซนทรัลนครปฐม
* ใกล้รพ.สินแพทย์
* ใกล้การไฟฟ้า

แผนที่: https://maps.app.goo.gl/CYNiC4CddmJg9CKf8
***ราคาเพียง 890,000 บาท เท่านั้น (คุ้มสุดในโซนนี้!)

สนใจติดต่อ:
บุญญาฎา ตั้งดิลกไพศาล (ออม)
061-412-5516
Line ID: aom_333061
E-mail: dandanpepo0426@gmail.com

ติดต่อ Estate corner Agency
โทร. 097-918-4244
Line Id @estatecorner
E-mail ecestatecorner99@gmail.com
Estate corner Agency รับฝาก ซื้อ-ขาย อสังหาริมทรัพย์ทุกประเภท ฟรีค่าโฆษณายินดีจัดหาสินเชื่อให้ฟรี
EstateCornerAgency.com

Location Map
Home Loan Tools
Contact

Boonyada Tangdilokpaisan

Real Estate Specialist

สาขา : สำนักงานใหญ่ บริษัท เอสเตท คอร์นเนอร์ คอร์ปอเรชั่น จำกัด

อาคาร True Value ชั้น 2 เลขที่ 241 ต.ตลาดขวัญ อ.เมืองนนทบุรี จ.นนทบุรี 11000

0614125516

097-918-4244

dandanpepo0426@gmail.com

Property Other of Boonyada Tangdilokpaisan